Минимальная допустимая разность диаметров ствола скважины
и муфты обсадной колонны по [27]
| Номинальный диаметр обсадной колонны, мм | Разность диаметров 2δ, мм | Номинальный диаметр обсадной колонны, мм | Разность диаметров 2δ, мм |
| 114,3; 127,0 139,7; 146,1 168,3; 244,5 | 15,0 20,0 25,0 | 273,1; 298,5 323,9; 426,0 | 35,0 35,0-45,0 |
Диаметр долота для бурения под обсадную колонну определяется по ее габаритному наружному размеру (наружный диаметр соединительной муфты) с таким расчетом, чтобы обсадная колонна свободно проходила по стволу скважины с регламентированным радиальным зазором, который определен в [27] в зависимости от диаметра обсадной колонны (табл. 2.2.2).
Расчетный диаметр долота определяется по формуле
Дд.р=dм +2δ, (2.2.1)
где dм - наружный диаметр соединительной муфты обсадной колонны
по ГОСТ 632-80; 2δ - разность диаметров по табл. 2.2.
Затем по расчетному диаметру Ддр находится ближайший нормализованный диаметр Ддн из типоразмеров ГОСТ 20692-80.
Установленный таким образом нормализованный диаметр долота
позволяет рассчитать внутренний диаметр обсадной колонны, через
которую это долото должно свободно пройти
dвн=Дд.н + 2Δ, (2.2.2)
где Δ - радиальный зазор между долотом и стенкой обсадной трубы, обычно принимается Δ = 5÷10 мм (причем нижний предел - для труб малого диаметра).
По известному внутреннему диаметру dвнобсадной трубы с использованием ГОСТ 632-80 подыскивается нормализованный диаметр обсадной колонны и выявляется наибольшая допустимая толщина стенки трубы.
Так как в ГОСТ 632-80 нормализован наружный диаметр обсадных труб и для каждого размера установлено по несколько толщин стенки трубы, внутренний диаметр может варьировать в широких пределах:
dвн=dн-2δтр (2.2.3)
где dвни dн - внутренний и наружный диаметры обсадной трубы, мм;
δтр - толщина стенки трубы, мм.
Основные размеры обсадных труб и муфт к ним в соответствии с ГОСТ 632-80 приведены в табл. 2.3.
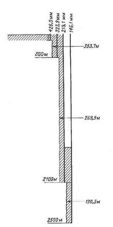
Разработанная конструкция скважины представляется на схеме, которая оформляется по общепринятой форме. На схеме наружные диаметры обсадных колонн указываются в миллиметрах у верхнего их конца. Если в конструкции предусмотрено использование потайной колонны, то ее принято пунктирной линией подводить к поверхности и здесь указывать ее наружный диаметр. Глубины спуска обсадных колонн показывают в метрах у нижнего конца каждой колонны. Диаметр ствола скважины в миллиметрах определяется по диаметру долот, которые будут использоваться в соответствующем интервале, и на схеме показывается у правого конца стрелки, проведенной до стенки ствола скважины. На схеме также должна быть указана глубина до уровня подъема цементного раствора за колонной.
При оценке сложности конструкции скважины их подразделяют на одно-, двух, трехколонные и т.д. В подсчете количества колонн принято учитывать только промежуточные и эксплуатационные обсадные колонны; направление, кондуктор и потайная колонна в продуктивном пласте при этом не учитываются. Ниже приведен пример расчета диаметров.
Пример 2.2.Исходные данные. Пусть задан диаметр эксплуатационной колонны dэ= 146,1 мм.
Рассчитать двухколонную конструкцию скважины.
Решение. 1. Наружный диаметр соединительной муфты для эксплуатационной колонны по ГОСТ 632-80 (см. табл. 2.4) dм.э=166 мм.
2. Расчетный диаметр долота для бурения под эксплуатационную колонну: Dд.р = dм.э + 2δ= 166 + 25 = 191 мм,
где 2δ = 20 мм (см. табл. 2.3).
3. Выбор ближайшего нормализованного диаметра долота по ГОСТ 20692-80
Dд.н = 215,9 мм>191 мм.
4. Внутренний расчетный диаметр промежуточной колонны
dпр.вн= Dд.н + 2Δ = 215,9 + 10 = 225,9 мм.
5.
Нормализованный диаметр обсадной колонны по ГОСТ 632-80 dпр= 244,5 мм с максимально допустимой толщиной стенки δпр = 8,9 мм; наружный диаметр муфты dм= 244,5 мм (см. табл. 2.4).
6. Расчетный диаметр долота для бурения под промежуточную колонну
Dд.p = 269,9 + 25 = 294,9 мм,
где зазор 2δ = 25 мм по табл. 2.2.
7. Выбор ближайшего нормализованного диаметра долота по ГОСТ 20692-80
Dд.н = 295,3 мм>294,9 мм.
8. Внутренний расчетный диаметр кондуктора
Dвн.к = 295,3 + 10 = 305,3 мм.
9. Нормализованный диаметр кондуктора по ГОСТ 632-80 (ем. табл. 2.4) dк =
323,9 мм с максимально допустимой толщиной стенки δК = 14 мм, наружный диаметр муфты dм = 351,0 мм.
10. Расчетный диаметр долота для бурения под кондуктор
Dд.р= 351,0 + 40,0 = 391,0 мм,
где зазор 2δ = 40 мм в соответствии с табл. 2.2.
Рис. 9.1. Схема к примеру 2.2
11. Ближайший нормализованный диаметр долота для бурения под кондуктор по ГОСТ 20692- 80
Dд.н = 393,7 мм>391,0 мм.
12. Внутренний расчетный диаметр направления
Dвн.напр = 393,7 + 15 = 408,7 мм.
13. Нормализованный диаметр обсадных труб для направления по ГОСТ 632—80 (см. табл. 2.4) dнапр= 426,0 мм с максимально допустимой толщиной стенки δ=10мм; наружный диаметр муфты dм =451,0
| Таблица 2.2.3 | ||||
| Основные размеры шарошечных долот для сплошного бурения | ||||
| Типоразмер | Резьба | Масса, кг. | Допускаемая нагрузка, кН | |
| Одношарошечные | ||||
| 139,7 СЗ-Н | З-88 | |||
| 161,0 СЗ-Н | З-88 | |||
| 190,5 СЗ-Н | З-117 | |||
| 215,9 МЗ-Н | 3-117 | |||
| Двухшарошечные | ||||
| 93 С-ЦВ | З-50 | 3,5 | ||
| 93 К-ЦВ | З-50 | |||
| 112 М-ГВ | З-63,5 | |||
| 132 М-ГВ | З-63,5 | |||
| Трехшарошечные | ||||
| 98,4 С-ЦА | З-66 | |||
| Т-ЦА | З-66 | |||
| ОК-ЦА | З-66 | |||
| 120,6 С-ЦА | З-76 | 7,5 | ||
| Т-ЦА | З-77 | |||
| 132 С-ЦВ | З-63,5 | |||
| Т-ЦВ | З-63,6 | |||
| К-ЦВ | З-63,7 | |||
| 139,7 С-ЦВ | З-88 | |||
| Т-ЦВ | З-88 | |||
| 151 С-ЦВ | З-88 | |||
| Т-ЦВ | З-88 | |||
| К-ЦВ | З-88 | |||
| 161 С-ЦВ | З-88 | |||
| Т-ЦВ | З-88 | |||
| Т-ПВ | З-88 | |||
| К-ЦВ | З-88 | |||
| 190,5 М-ГВ | З-117 | |||
| М-ГН | З-117 | |||
| МСЗ-ГАУ | З-117 | |||
| С-ЦВ | З-117 | |||
| С-ГВ | З-117 | |||
| С-ГНУ | З-117 | |||
| СЗ-ГВ | З-117 | |||

| Типоразмер | Резьба | Масса, кг | Допускаемая нагрузка, кН |
| 244,5 К-ПВ | З-121 | ||
| ОК-ПВ | З-121 | ||
| 269,9 М-ГВ | З-152 | ||
| М-ГН | З-152 | ||
| МС3-ГНУ | З-152 | ||
| МС3-ГАУ | З-152 | ||
| С-ГВ | З-152 | ||
| С-ГНУ | З-152 | ||
| С3-ГВ | З-152 | ||
| СЗ-ГНУ | З-152 | ||
| СЗ-ГАУ | З-152 | ||
| СТ-ГН | З-152 | ||
| Т-ЦВ | З-152 | ||
| ТЗ-ЦВ | З-152 | ||
| ТЗ-ГН | З-152 | ||
| ОК-ПВ | З-152 | ||
| 295,3 М-ГВ | З-152 | ||
| М-ЦВ | З-152 | ||
| МС-ГВ | З-152 | ||
| МСЗ-ГНУ | З-152 | ||
| С-ЦВ | З-152 | ||
| С-ГВ | З-152 | ||
| С-ГНУ | З-152 | ||
| СЗ-ГВ | З-152 | ||
| СЗ-ГНУ | З-152 | ||
| СТ-ЦВ | З-152 | ||
| Т-ЦВ | З-152 | <> | |
| СТ-ЦВ | З-152 | ||
| Т-ЦВ | З-152 | ||
| ТЗ-ЦВ | З-152 | ||
| 320 С-ГВ | З-152 | ||
| Т-ПГВ | З-152 | ||
| ТЗ-ПГВ | З-152 | ||
| 349,2 М-ЦВ | З-152 | ||
| М-ГВ | З-152 | ||
| С-ЦВ | З-152 | ||
| С-ГВ | З-152 | ||
| Т-ЦВ | З-152 | ||
| 393,7 М-ЦВ | З-171 | ||
| М-ГВ | З-171 | ||
| С-ЦВ | З-171 |
Продолжение табл. 2.2.3
| Типоразмер | Резьба | Масса, кг | Допускаемая нагрузка, кН |
| 393,7 С-ГВ | З-171 | ||
| Т-ЦВ | З-171 | ||
| 444,5 С-ЦВ | З-171 | ||
| 490 С-ЦВ | З-171 |
Таблица2.2.4
Основные размеры (в мм) обсадных труб и соединительных муфт к ним по ГОСТ 632-80